Как правило, хозяева редко беспокоятся, если их кошку вырвало шерстью. Этот процесс кажется абсолютно нормальным, так как пушистый питомец постоянно вылизывается и непроизвольно заглатывает часть волосков. На самом деле все не так просто. В ряде случаев такая рвота действительно опасна и является симптомом закупорки кишечника.
Нормальна ли рвота шерстью
Важно отметить, что рвота – не заболевание. Она может играть роль симптома патологии, но по своей сути является рефлексом. Для организма рвотный механизм – удобный способ для удаления токсичных и просто нежелательных веществ из желудка.

При эпизодическом срыгивании и хорошем самочувствии беспокоиться не стоит. Таким образом питомец избавляется от шерстинок, которые не удалось переварить и вывести вместе с фекалиями. Частота извержения содержимого желудка зависит от следующих факторов:
-
Возраст. Новорожденных котят обычно не тошнит, так как их вылизывает мать. Также малыши отличаются от взрослых структурой шерстки. До ювенальной линьки она напоминает пух, поэтому «волосяные колбаски» появляются после ее обновления. Это происходит примерно в 6 месяцев.
-
Длина и густота шерстного покрова. Наибольшее количество волосков заглатывают длинношерстные породы с развитым подшерстком. Они срыгивают волоски раз в 2-3 недели.
-
Температура. В отличие от людей, кошки лишены потовых желез на теле. Они потеют только подушечками лап. В жаркую погоду представителям пушистых пород приходится более интенсивно себя вылизывать, чтобы охладиться за счет испарения влаги.
-
Рацион. Рвотный рефлекс стимулирует трава. Ее регулярное присутствие в рационе способствует периодическому срыгиванию.
Если рвота слишком частая – лучше обратиться за помощью. В данном случае выходящая наружу шерсть – скорее следствие, а не причина. Подобное нарушение может сопровождать блошиную инвазию, аллергический дерматит, хронические болезни ЖКТ, диабет, почечные патологии и стресс, побуждающий питомца постоянно вылизываться.
ИНТЕРЕСНО!
Что такое трихобезоары и чем они опасны
«Волосяные колбаски», срыгиваемые котами, называются трихобезоарами. Они представляют собой плотные комочки из шерстинок, непереваренного корма и желудочной слизи. Трихобезоары формируются внутри желудка под воздействием мышечных сокращений.

Небольшие фрагменты выводятся наружу через кишечник в составе кала, а более крупные, не проходящие в двенадцатиперстную кишку – через пасть с помощью рвотного рефлекса, возникающего из-за раздражения желудочных стенок.
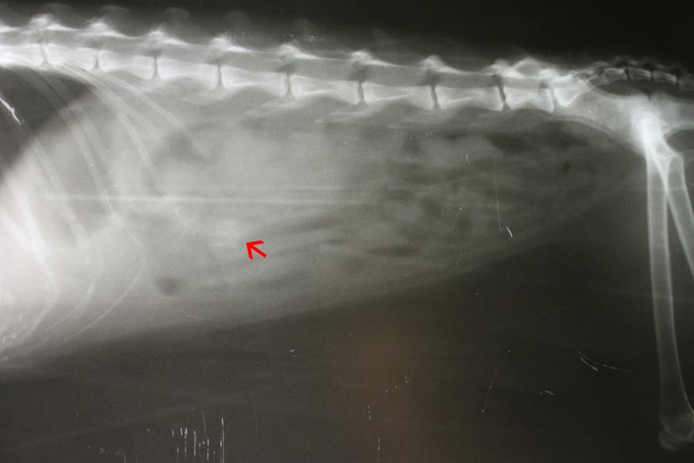
Главная опасность трихобезоаров – закупорка кишечника. Слишком большие образования забивают просвет, препятствуя выведению фекалий и провоцируя воспаление. Без своевременной помощи животное может погибнуть от перитонита в результате разрыва кишечных стенок или острой интоксикации на фоне отравлениями продуктами своей жизнедеятельности.
Симптомы закупорки кишечника
Если попытки срыгивания не приносят результата, а рвота участилась – обратитесь к ветеринарному врачу. Такое состояние развивается при закупоривании просвета кишечника слишком плотными и крупными трихобезоарами. При наличии опасности отмечаются следующие сопутствующие симптомы:
-
отказ от еды при сохранении аппетита (кот выглядит голодным и подходит к миске, но из-за дискомфорта внутри желудка не берет корм в рот);
-
вялость, апатия, повышение продолжительности сна, отказ от игр и избегание общения;
-
потускнение шерсти;
-
частый кашель;
-
вздутие и болезненность живота;
-
наличие налипших на десны шерстинок или их врастание в мягкие ткани;
-
продолжительный запор или изменение формы кала на мелкие шарики;
-
повышение температуры тела;
-
появление в рвотных массах частиц крови.
Короткошерстные коты совершают больше рвотных движений, чем длинношерстные. Их волоски хуже сбиваются в комки, чаще налипают на стенки желудка и тяжелее выводятся наружу при срыгивании.

Медлить при таких симптомах нельзя. Проблема решается строго хирургически, поэтому ни в коем случае не тратьте время на самолечение.
После проведения диагностики трихобезоар извлекают либо во время эндоскопии, либо с помощью полостной операции. Для облегчения опорожнения используют вазелиновое масло. Оно не всасывается и полностью выводится из организма вместе с калом, что исключает передозировку.
Профилактика и помощь кошке
Предупредить появление трихобезоаров у котов нельзя, так как это совершенно нормальный физиологический процесс. Главное – не допускать их разрастания и чрезмерного уплотнения. В этом поможет грамотная профилактика, направленная на сокращение попадающих в желудок шерстинок и на облегчение их выведения естественным путем.
Регулярное вычесывание
Первая рекомендация касается вычесывания. Далеко не все хозяева выполняют эту важную процедуру правильно. Для своевременного удаления выпавших волосков короткошерстных котов рекомендуется вычесывать 1 раз в неделю, а длинношерстных – 3-4 раза в неделю. Во время линьки указанную частоту повышают до 2-3 раз в неделю и 1 раза в день соответственно.

Если у вашего любимца короткая шерстка – используйте гребни с частыми и мелкими зубчиками, а если длинная – с редкими и длинными. При наличии роскошных «штанишек», «воротника» и «плюмажа» на хвосте обязательно приобретите пуходерку. Она помогает избавляться от остаточного пуха. Также позаботьтесь о наличии силиконовой или прорезиненной варежки, оказывающей приятный массажный эффект, и фурминатора, предупреждающего появление колтунов.
При проведении процедуры руководствуйтесь следующими действиями:
-
Прочешите гребнем все тело, двигаясь от головы к хвосту по направлению роста волос.
-
Если кот короткошерстный – повторите предыдущее действие, но измените направление. Вычесывание против роста волос поможет убрать застрявшие внутри волоски. Для представителей длинношерстных пород такое действие травматично, поэтому просто замените гребень на фурминатор и снова прочешите питомца по направлению роста волос. В период линьки также используйте пуходерку.
-
Пройдитесь по шерстке варежкой и обязательно дайте своему любимцу угощение, когда закончите.
Вычесывание профилактирует не только закупорку кишечника, но и дерматиты с инфекциями. Благодаря регулярному проведению процедуры шерсть гораздо реже путается и приобретает красивый блеск, а количество летающего в доме пуха существенно сокращается.
Употребление мальт-пасты
Следующая важная мера профилактики – употребление мальт-пасты. Это гигиеническое средство способствует естественному очищению ЖКТ от проглоченных при вылизывании шерстинок за счет их растворения и выведения вместе с фекалиями. Его вводят в рацион с раннего детства, когда котята начинают умываться самостоятельно.

В зависимости от марки, в состав мальт-пасты обычно входят жидкий парафин и солодовый экстракт. Общее содержание жиров составляет около 40%, поэтому такой продукт не рекомендуется применять в слишком большом количестве. Дозировка зависит от этапа линьки и степени пушистости животного.
Большинство котов воспринимает это средство как угощение, поэтому обычно хозяева дают его прямо из тюбика. Также мальт-пасту можно выдавить на корм либо намазать на нос или переднюю лапку питомца, чтобы побудить его вылизаться.
Правильное питание
Последний важный пункт – правильное питание. Естественному выведению шерсти способствуют специальные корма, предупреждающие образование трихобезоаров. В их состав входит большое количество клетчатки и других растительных волокон. Эти вещества стимулируют моторику ЖКТ и облегчают выведение шерстинок вместе с фекалиями.
Если кот слишком обильно линяет – проверьте его организм на наличие дефицитов. При выявлении серьезной проблемы ветеринарный врач обязательно назначит витаминно-минеральные комплексы.
Также не стоит забывать про пользу травы. Именно ей уличные животные чистят свой желудок. Но экономить здесь не стоит. В городах уличную траву нередко обрабатывают химикатами. Самые опасные участки – неподалеку от дома. Во избежание отравления свежую траву лучше брать в зоомагазине или самостоятельно выращивать на подоконнике овес, ячмень и пшеницу.

Заключение
Срыгивание шерстяных комочков – не патология, но следить за ним все-таки стоит. Если вы заметили, что питомец надрывно кашляет, но у него не получается вытошнить трихобезоар – не используйте вазелиновое масло. При закупорке кишечника это безобидное средство может привести к разрыву органа.
Появление тревожных симптомов – веский повод для обращения к ветеринарному врачу. Помните, что только он вправе назначить лечение, ведь точную причину недомогания животного можно узнать лишь после диагностики.
Статья носит информационный характер. Обратитесь к ветеринару!